-
목차
샤인머스캣이 한때 명품 포도의 대명사로 불렸지만, 이제 그 자리를 잇는 새로운 이름이 있습니다.
바로 로얄바인(Royal Vine).
최근 소비자들의 로얄바인 포도 후기를 보면, “샤인머스캣은 옛말, 이제는 로얄바인의 시대”라는 평가가 이어지고 있습니다.
고급 과일 시장의 트렌드가 부자과일 인기순위를 바꿔놓고 있는 것입니다.
🏷️ 프리미엄 전통주 TOP5(성시경 막걸리 포함)도 만나보실 수 있습니다.
추석 부모님 선물 고민 끝! 프리미엄 전통주 TOP5 (성시경 막걸리, 구매링크 포함)
다가오는 2025년 추석은 10월 6일 월요일입니다.더욱 특별한 점은 올해가 황금연휴 추석이라는 사실이에요. 개천절(10월 3일), 추석 연휴(10월 5일~7일), 대체공휴일(10월 8일), 한글날(10월 9일)까지 이
blog2.info-sea-mer115.co.kr
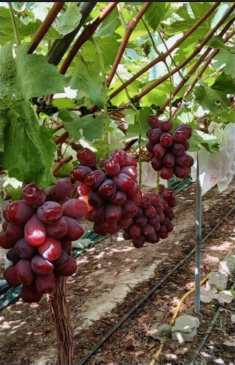
클럽재배 과일 뜻과 로얄바인의 차별성
로얄바인의 가장 큰 특징은 클럽재배 과일이라는 점입니다.
전국 포도 농가의 단 0.5%만 참여할 수 있는 시스템으로, 공급량과 품질을 철저히 관리합니다.
샤인머스캣이 과잉 공급으로 가격 폭락을 겪었던 것과 달리, 로얄바인은 희소성과 프리미엄 이미지를 동시에 지켜내고 있습니다.
이 덕분에 농가 입장에서는 프리미엄 과일 수익성 작물로 각광받고 있습니다.

@신세계백화점 로얄바인 명품과일 가격과 판매 구조
현재 로얄바인은 일반 마트에서는 보기 어렵습니다.
신세계백화점 로얄바인 매대와 VIP 전용 예약 판매에서만 만날 수 있습니다.- 평균 가격: 송이당 4~5만 원
- 최고 가격: 10만 원대 거래
- 판매 채널: 백화점·프리미엄 과일 전문점
이처럼 로얄바인 명품과일 가격은 일반 포도의 몇 배에 달하지만, 고소득층 소비자들은 프리미엄 포도 구매를 꾸준히 이어가고 있습니다.


@신세계백화점 브릭스 22~30, 고소득층 과일 추천 이유
로얄바인은 단순히 비싼 포도가 아닙니다.
맛과 품질에서 확실한 차별성을 보여줍니다.- 씨 없는 포도
- 껍질째 먹는 편리함
- 평균 당도 22브릭스, 최고 30브릭스 달성
이 특별한 맛 때문에 “고소득층 과일 추천 1순위”라는 평가를 받으며, 소비자 만족도가 높습니다.
샤인머스캣 vs 로얄바인 비교 (브릭스 & 가격) 구분 샤인머스캣 로얄바인 브릭스(당도) 평균 17~18°Brix 평균 22°Brix, 최고 30°Brix 소매 가격 1송이 3천~5천 원 1송이 4만~10만 원 시장 포지션 대중적 프리미엄 포도 희소성 있는 명품 과일 명절 고급 과일 선물, 로얄바인 선물세트
매년 추석과 설 명절 시즌이 되면 로얄바인 선물세트는 빠르게 품절됩니다.
VIP 고객들은 단순한 과일이 아닌, 명절 고급 과일 선물로서 로얄바인을 찾습니다.실제 로얄바인 선물세트 후기에는
- “포장과 브랜드 스토리에서 품격이 다르다”
- “결혼식·VIP 선물로 최적”
이라는 반응이 이어지고 있습니다.
농가 수익성과 투자 가치
로얄바인은 농가, 유통, 소비자 모두에게 긍정적인 결과를 만들어내고 있습니다.
- 농가: 샤인머스캣이 송이당 3천~5천 원까지 떨어졌지만, 로얄바인은 5만~10만 원대 안정적 거래.
- 유통업계: 백화점 청과 매출의 10% 이상을 견인하며 매년 성장세.
- 투자자: 클럽재배 시스템 덕분에 프리미엄 과일 투자 아이템으로 주목.
결국 로얄바인은 단순한 과일이 아니라 농가 수익성 작물이자, 미래 농업 투자 모델로 평가됩니다.

@신셰계백화점 샤인머스캣은 옛말, 로얄바인의 시대
샤인머스캣이 명품 포도의 대명사였던 시절은 지났습니다.
2025년 현재, 명품 부자과일의 새로운 주인공은 로얄바인입니다.- 한정 생산 구조(클럽재배 과일 뜻)
- 고소득층 맞춤 프리미엄 전략
- 명절 선물 시장 독점
이제 프리미엄 포도 시장의 판도는 로얄바인이 이끌고 있습니다.
🏷️ 가을 이후 두바이 여행 가족과 함께 떠나야 할 이유도 확인하실 수 있습니다.
10월 두바이 여행, 추석 황금연휴에 가족과 함께 떠나야 할 이유
다가오는 추석 황금연휴를 활용한 10월 두바이 가족여행 추천드립니다. 추석 연휴부터 늦가을까지, 두바이에서 보내는 최고의 가을을 느껴보세요. 쾌적한 날씨, 사막 사파리, 분수쇼, 여행 복장,
blog2.info-sea-mer115.co.kr







'일상다반사' 카테고리의 다른 글
🌕 명절 스트레스 줄이는 실속형 4인 가족 추석 장보기 리스트 - 예산표 + 쇼핑 팁까지 총망라 (0) 2025.09.18 [2025 추석 지원금 총정리] 몰랐다간 손해! 최대 80만원 받는 법 전지역 공개 (0) 2025.09.14 혹시 ‘목에 뭔가 걸린 느낌’이 든 적 있나요? 갑상선암 초기증상은 그렇게 찾아옵니다 (0) 2025.09.11
